Turns out that identifying reef fish on Maui with only a couple of dive cards is like picking a perpetrator out of a police lineup when they are all wearing clown makeup. Even sitting here at my computer, zooming in on each fish, with the dive cards beside me, it isn’t easy. They either aren’t on the cards at all, or there is another fish that looks too much like them to be quite sure…
So you can imagine how tricky it is when you are bobbing around in the waves and then diving down and trying to follow the fish around while they try to escape from you…
I am almost positive that one is a domino damselfish… almost…
And that one is a whatthehellisthatfish…
Obviously that is a trumpetfish… unless it is a needlefish…
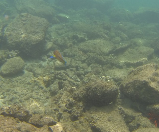
Oh, that one should be easy… that is… uh… wait… really??? That one isn’t on either dive card? For crying out loud. It’s orange and red with blue and yellow tail and fins! How can that not be on the cards?
All I know is that the water was so clear, and the colors were so incredible…
That I am going to be boring you with pictures of fish for a few more days… HA!
















Look at it like we are supposed to look at people. It doesn’t really matter what colour, race, or religion your fish are. They don’t need a label. They are all just beautiful creatures.
I like marking things off on lists.
The trumpet/needle fish resembles the atlantic needlefish. Great shots!
Are you like a fish expert???
No, but I had a weird experience with a needlefish. I was swimming in Mexico, where I knew barracudas lived. On my way back to the shore, this fish swam along even with me and about 5 feet away. I had never seen a barracuda, and I thought my companion was one. When I reached the shore, I jumped out of the water and pointed to the fish. The guide had a giggle at my expense, and then pointed to this 6-foot-long monster, right where I got out of the water, and said, “you were swimming with a needlefish. That is a barricuda.” I waited until the barricuda headed back toward the ocean, and I jumped back into the water and got a great shot of the needlefish. You should snorkel down in the Yucatan — it’s a whole different experience. Lots of convict tangs, though, along with parrot fish that ate coral and pooped out beautiful white sand. Great photos!
I swam into a school of hammerheads once. But I took a great video of the needlefish… if I can figure out how to post it.
Hammerheads — scary! I look forward to seeing the video!
If I am smart enough
These are fantastic photos
I got more!
I think these fishes should start carrying ID.
That would sure help.
You should consider adding the video of “Fish Heads” to one of these posts.
I do have some actual video of the fish… if I can figure out how to post it.
Fish fascinate me. I used to have aquariums but only fresh water. The salt water fish are much more brilliantly colored. Salt water tanks are becoming easier and more common these days.
I do like a nice fish…